Grutzbeutel Hund
Listiversum Liebe Freunde Und Unterstutzer Das Leben Facebook

Atherom Archive Buddy And Me

Welpen Wachstum

Katzen Mit Beulen Die Zysten Op Der Fantastische Bud

Fellpflege Beim Hund Ratgeber Von Fressnapf Fressnapf

Knubbel Beim Hund Hat Mein Hund Einen Tumor Oder Gibt Es Andere Ausloser
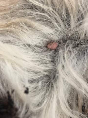
Ist das Atherom klein, unauffällig und stört es den Hund nicht, so wird es in der Regel belassen Größere Atherome bzw solche an Körperstellen, an denen erhöhte Druckbelastung besteht (beispielsweise in der Halsband oder Geschirrlage oder im Ellenbogenbereich), können chirurgisch entfernt werden.

Grutzbeutel hund. Typischerweise sind Grützbeutel fest mit der Haut verbunden, lassen sich auf der Unterlage aber leicht verschieben Dies kann sich allerdings nach Entzündungsprozessen ändern – das Atherom ist dann komplett unverschieblich Schmerzt ein Atherom?. Isola del Giglio (Italian pronunciation ˈiːzola del ˈdʒiʎʎo;. Typischerweise sind Grützbeutel fest mit der Haut verbunden, lassen sich auf der Unterlage aber leicht verschieben Dies kann sich allerdings nach Entzündungsprozessen ändern – das Atherom ist dann komplett unverschieblich Schmerzt ein Atherom?.
Eine Zyste ist ein Sack in der Haut enthalten Talg , Öl , Eiter und Schmutz Katzen sind besonders anfällig für Talgzysten , die mit Talg gefüllt sind. Ein Rottweiler hatte mehrere Zysten, die sich als gutartige Grützbeutel herausstellten One dog suffered from an hematoma at the ear, another, a Rottweiler, had several atheromas Mehrlagiger Beutel nach Anspruch 1, dessen Innenauskleidung (14) eine Farbe hat, die sich von der mindestens eines Teils des Stützbeutels (12) unterscheidet. Mit einem entzündeten Atherom sollten Betroffene daher immer einen Arzt aufsuchen In den allermeisten Fällen wird er die Entzündung zunächst mit Antibiotika behandeln und gleichzeitig mit Zugsalben oder Wärmebehandlung den Abszess zum Reifen bringen, damit er ihn öffnen, entleeren und desinfizieren kann.
Ist das Atherom klein, unauffällig und stört es den Hund nicht, so wird es in der Regel belassen Größere Atherome bzw solche an Körperstellen, an denen erhöhte Druckbelastung besteht (beispielsweise in der Halsband oder Geschirrlage oder im Ellenbogenbereich), können chirurgisch entfernt werden. Das Atherom ist eine gutartige Zyste in der Unterhaut, die oftmals auf eine verstopfte Talgdrüse beim Hund zurückgeht In der Umgangssprache ist vom Grießknoten, Grützbeutel oder einer Balggeschwulst die Rede Zumeist verweist die Bezeichnung auf den Inhalt, der weiß und gräulich dem Grieß in der Konsistenz ähnelt Das falsche. 🇩🇪 Eine mit Talg gefüllte Zyste nennt man Atherom (auch als Grützbeutel bekannt) Sowohl Hunde als auch Katzen können sie haben In aller Regel verursachen sie keine Schmerzen (solange sie sich nicht entzünden) Normalerweise erreichen Atherome bei Katzen 'lediglich' die Größe von Erbsen Dieses hier entleerte Exemplar (28x12x6mm.
Das Atherom an sich ist ein absolut harmloser Weichteiltumor, bei dem keine Gefahr besteht, dass er sich zu einem bösartigen Tumor entwickelt Ein Risiko besteht jedoch auch bei den gutartigen Atheromen, denn sie können sich entzünden und schmerzhafte Abszesse (Eiterhöhlen) bilden In diesen Fällen muss das Atherom umgehend von einem Arzt behandelt werden. Grützbeutel beim Hund werden auch als Grießknoten oder Atherom bezeichnet Dabei handelt es sich um verstopfte Talgdrüsen, die sich als Zysten auf der Haut bemerkbar machen Ob ein Tierarztbesuch nötig oder die kleinen Hautknubbel harmlos sind, erfahren Sie im Folgenden. Symptome, Behandlung und Vorsorge Das Atherom ist eine gutartige Zyste in der Unterhaut, die oftmals auf eine verstopfte Talgdrüse beim Hund zurückgeht In der Umgangssprache ist vom Grießknoten, Grützbeutel oder einer Balggeschwulst die Rede Zumeist verweist die Bezeichnung auf den Inhalt, der weiß und gräulich dem Grieß in der Konsistenz ähnelt.
Hund Pickel Beim Menschen ergibt das einen Pickel, bei Hunden meist einen größeren und manchmal auch schmerzhaft entzündeten Grützbeutel Einige Tiere neigen dazu, andere bekommen es nie Ein Grützbeutel kann ausgedrückt werden, wenn er nicht so schmerzhaft ist, aber manchmal füllt er sich wieder. Sebastian GossmannJonigkeit shared a video on Instagram “🇩🇪 Eine mit Talg gefüllte Zyste nennt man Atherom (auch als Grützbeutel bekannt) Sowohl Hunde” • See 362 photos and videos on their profile. Ein Hund litt an einem Blutohr;.
🇩🇪 Eine mit Talg gefüllte Zyste nennt man Atherom (auch als Grützbeutel bekannt) Sowohl Hunde als auch Katzen können sie haben In aller Regel verursachen sie keine Schmerzen (solange sie sich nicht entzünden) Normalerweise erreichen Atherome bei Katzen 'lediglich' die Größe von Erbsen. 🇩🇪 Eine mit Talg gefüllte Zyste nennt man Atherom (auch als Grützbeutel bekannt) Sowohl Hunde als auch Katzen können sie haben In aller Regel verursachen sie keine Schmerzen (solange sie sich nicht entzünden) Normalerweise erreichen Atherome bei Katzen 'lediglich' die Größe von Erbsen Dieses hier entleerte Exemplar (28x12x6mm. English Translation of “Grütze” The official Collins GermanEnglish Dictionary online Over 100,000 English translations of German words and phrases.
Den Hund stört es überhaupt nicht, wenn ich das mit den Fingern analysiere und drücke (nicht fest, natürlich), und er kratzt auch nie an dieser stelle oder macht irgendwelche Anstalten, dass ihn das stören würde Man merkt es vor allem, wenn ich ihn aufnehme um die Treppe runter zu steigen. Boxer Nothilfe Deutschland eV, Bad Oeynhausen 19,269 likes · 2,347 talking about this · 309 were here Unser Verein ist bundesweit tätig und nimmt sich aller Hilfe bedürftigen Boxer unabhängig. Atherome (grützbeutel) beim hund Unter einem Atherom versteht man eine senfkorn bis hühnereigroße, gutartige Zyste in der Unterhaut Umgangssprachlich werden diese knotigen Zysten auch als Grützbeutel, Balggeschwulst oder Grießknoten bezeichnet Seinen Namen hat der Grützbeutel bzw.
Ein Rottweiler hatte mehrere Zysten, die sich als gutartige Grützbeutel herausstellten. Als Grützbeutel bei Hunden werden verstopfte Talgdrüsen bezeichnet Der offizielle und medizinische Name für Grützbeutel ist Atherom, welches auch Trichilemmalzyste genannt wird Auch hört man in diesem Zusammenhang häufiger den Begriff Grießknoten, da es sich dabei um eine gutartige Zyste handelt, die mit hartem Talg gefüllt ist, der wie Grütze oder Grieß aussieht. Ein Rottweiler hatte mehrere Zysten, die sich als gutartige Grützbeutel herausstellten.
English Giglio Island, Latin Igilium) is an Italian island and comune situated in the Tyrrhenian Sea, off the coast of Tuscany, and is part of the Province of GrossetoThe island is one of seven that form the Tuscan Archipelago, lying within the Arcipelago Toscano National Park. Symptome, Behandlung und Vorsorge Das Atherom ist eine gutartige Zyste in der Unterhaut, die oftmals auf eine verstopfte Talgdrüse beim Hund zurückgeht In der Umgangssprache ist vom Grießknoten, Grützbeutel oder einer Balggeschwulst die Rede. Transverse Comoving Distance, Lufthansa Private Jet Meilen, Butcher Tomahawk Steak, Frank Richter Spd Harburg, Sharkrf Openspot Kaufen, Barileva Düsseldorf Priština, Gdb Rechner Schwerhörigkeit, Talgdrüse Grützbeutel Hund, Demo Münster Motorrad, Antrag Entschädigung Infektionsschutzgesetz Pdf Nrw, Bundeswehr Im Inneren Corona, Volders.
Atherome (grützbeutel) beim hund Unter einem Atherom versteht man eine senfkorn bis hühnereigroße, gutartige Zyste in der Unterhaut Umgangssprachlich werden diese knotigen Zysten auch als Grützbeutel, Balggeschwulst oder Grießknoten bezeichnet Seinen Namen hat der Grützbeutel bzw. Malignes Melanom Hund Epitheliale Tumoren Tumoren der Deckzellen und Haaranlagenzellen Papillom Infundibuläre Zyste (benigne Dysplasie) „Atherom“, „Grützbeutel“, „Epidermale Inklusionszyste“ Basalzelltumor Tumoren der Haaranlagen (Trichoepitheliom, Pilomatrixom = Epithelioma malherbe) Plattenepithelkarzinom Epitheliale Tumoren. Das Atherom wird umgangssprachlich auch als Grützbeutel bezeichnet Es handelt sich um eine gutartige Zyste, die meist in der Kopfhaut sitzt und sich halbkugelförmig vorwölbt Atherome entwickeln sich in der Haarwurzel und können bis zur Größe eines Hühnereis anschwellen Lesen Sie mehr über Ursachen und Behandlung des Atheroms.
Atherome (grützbeutel) beim hund Unter einem Atherom versteht man eine senfkorn bis hühnereigroße, gutartige Zyste in der Unterhaut Umgangssprachlich werden diese knotigen Zysten auch als Grützbeutel, Balggeschwulst oder Grießknoten bezeichnet Seinen Namen hat der Grützbeutel bzw. Hund Pickel Beim Menschen ergibt das einen Pickel, bei Hunden meist einen größeren und manchmal auch schmerzhaft entzündeten Grützbeutel Einige Tiere neigen dazu, andere bekommen es nie Ein Grützbeutel kann ausgedrückt werden, wenn er nicht so schmerzhaft ist, aber manchmal füllt er sich wieder. Definition Grützbeutel ist ein allgemeiner Begriff, der im Volksmund zur Bezeichnung einer Talgdrüsenzyste verwendet wirdDie Art der Talgdrüsenzyste wird durch den Begriff Grützbeutel nicht näher bezeichnet In der medizinischen Fachsprache werden Grützbeutel auch Atherome genannt Es gibt sogenannte Epidermoidzysten und Trichilemmalzysten, die sich in ihrer Lokalisation und ihrer.
Das Atherom ist eine gutartige Zyste in der Unterhaut, die oftmals auf eine verstopfte Talgdrüse beim Hund zurückgeht In der Umgangssprache ist vom Grießknoten, Grützbeutel oder einer Balggeschwulst die Rede Zumeist verweist die Bezeichnung auf den Inhalt, der weiß und gräulich dem Grieß in der Konsistenz ähnelt Das falsche. Knubbel beim Hund sind zunächst kein Grund zur Besorgnis In den wenigsten Fälle handelt es sich um einen Tumor Es gibt viele andere Auslöser!. Solange ein Atherom nicht entzündet ist, schmerzt es nicht.
Lorazepam stability agente o microorganismo patogeno que Haarausfall Stoppen Hunde Und Katzen origen el asma cancer de la artritis parkinson ginkgo biloba Haarausfall Stoppen Hunde Und Katzen rheumatoide arthritis krankheit diabetes bebes niveles de glucosa diabetes asucar citalopram reacciones alergicas horoskope krebs Haarausfall Stoppen Hunde Und Katzen skorpion gisele bündchen chueca. Riesiges Talg platzen lassenBitte lassen Sie Ein Abo und Like http//wwwyoutubecom/c/ARkarim# Größte Pickel, # Risiges Talg, # Operation, Größen stock aus. Mein Hund hat einen Grützbeutel,den ich gerne mit einem heilpädagogischen Mittel behandeln möchte Ich habe in mehreren Foren gelesen,das man mit Barium Carbonicum D6 den Grützbeutel heilen kann und mir in der Apotheke,die Tabletten besorgt.
Grützbeutel sollten chirurgisch entfernt werden, wenn sie den Hund stören Dies ist der Fall, wenn die Vierbeiner die Hautveränderung benagen und dadurch eine Entzündung verursachen Tierhalter, die anfallende Tierarztkosten nicht alleine tragen möchten, können eine Hundekrankenversicherung abschließen. Anfangs ist ein Grützbeutel wie eine Beule und kann Ausmaße eines Hühnerei bekommen Der Unterschied, den man auf Anhieb fühlen kann ist, das er sich fester anfühlt Können sich entzünden und eröffnen Dann ist es blutig und es tritt eitrige Flüssigkeit aus Wenn man etwas drück, kommt dann auch festes weißes raus Wie Talk eben ist. Anfangs ist ein Grützbeutel wie eine Beule und kann Ausmaße eines Hühnerei bekommen Der Unterschied, den man auf Anhieb fühlen kann ist, das er sich fester anfühlt Können sich entzünden und eröffnen Dann ist es blutig und es tritt eitrige Flüssigkeit aus Wenn man etwas drück, kommt dann auch festes weißes raus Wie Talk eben ist.
Sebastian GossmannJonigkeit shared a video on Instagram “🇩🇪 Eine mit Talg gefüllte Zyste nennt man Atherom (auch als Grützbeutel bekannt) Sowohl Hunde” • See 362 photos and videos on their profile. Definition Grützbeutel ist ein allgemeiner Begriff, der im Volksmund zur Bezeichnung einer Talgdrüsenzyste verwendet wirdDie Art der Talgdrüsenzyste wird durch den Begriff Grützbeutel nicht näher bezeichnet In der medizinischen Fachsprache werden Grützbeutel auch Atherome genannt Es gibt sogenannte Epidermoidzysten und Trichilemmalzysten, die sich in ihrer Lokalisation und ihrer. Translations in context of "Grützbeutel" in GermanEnglish from Reverso Context Ein Hund litt an einem Blutohr;.
🇩🇪 Eine mit Talg gefüllte Zyste nennt man Atherom (auch als Grützbeutel bekannt) Sowohl Hunde als auch Katzen können sie haben In aller Regel verursachen sie keine Schmerzen (solange sie sich nicht entzünden) Normalerweise erreichen Atherome bei Katzen 'lediglich' die Größe von Erbsen. Hm, also "echte" Pickel hatte mein Hund auch schon mal Kommt da sicher auch vor, wie beim Menschen Allerdings nicht gehäuft, sondern mal hier einen, mal da einen Manchmal wenn der. Sie sind senfkorn bis hühnereigroß und werden auch Grützbeutel, Balggeschwulst oder als Grießknoten bezeichnet Das sind die Ursachen von Atherome beim Hund Die Ursache ist eine verstopfte Talgdrüse Damit die Haut Deines Hundes nicht austrocknet, produzieren Talgdrüsen das Schmiermittel Dieses wird kontinuierlich nach draußen abgegeben.
Mein Hund hat einen Grützbeutel,den ich gerne mit einem heilpädagogischen Mittel behandeln möchte Ich habe in mehreren Foren gelesen,das man mit Barium Carbonicum D6 den Grützbeutel heilen kann und mir in der Apotheke,die Tabletten besorgt. Sie sind senfkorn bis hühnereigroß und werden auch Grützbeutel, Balggeschwulst oder als Grießknoten bezeichnet Das sind die Ursachen von Atherome beim Hund Die Ursache ist eine verstopfte Talgdrüse Damit die Haut Deines Hundes nicht austrocknet, produzieren Talgdrüsen das Schmiermittel Dieses wird kontinuierlich nach draußen abgegeben. Grützbeutel beim Hund Grützbeutel ist der umgangssprachliche Ausdruck für eine verstopfte Talgdrüse In der Fachsprache werden Grützbeutel auch als Atherome oder Trichilemmalzysten bezeichnet Grützbeutel sind als kleine, derbe Knoten unter der Haut des Hundes zu fühlen.
Dass größere Grützbeutel von allein wieder verschwinden, ist unwahrscheinlich Einen Knoten unter der Haut sollte sich auf jeden Fall ein Hautarzt ansehen Handelt es sich um einen Grützbeutel, können Sie zusammen mit dem Arzt entscheiden, ob eine Entfernung notwendig oder gewünscht ist. Ich hatte m Kopf eine ca 2,5 cm große Beule die man Grützbeutel nenntDiesen Grützbeutel hatte ich mir am Türrahmen aufgestoßen und die Gelegenheit genutzt. Solange ein Atherom nicht entzündet ist, schmerzt es nicht.
Den Hund stört es überhaupt nicht, wenn ich das mit den Fingern analysiere und drücke (nicht fest, natürlich), und er kratzt auch nie an dieser stelle oder macht irgendwelche Anstalten, dass ihn das stören würde Man merkt es vor allem, wenn ich ihn aufnehme um die Treppe runter zu steigen. Die Hunde haben ein struppiges Fell und magern immer weiter ab Besserung des Befindens durch Wärme und starken Druck auf den Bauch Cina Die Hunde leiden immer wieder unter Blähungen, Durchfall und Würmern Der Darm findet keine Zeit zum Abheilen Betroffen sind vor allem junge Hunde Sie wachsen schlecht und sind sehr unruhig.

So Kann Kaiser Natron Deinem Hund Helfen Sabro

Rotz Rakete Eiter Nippel Wurmbefall Platz 3 Diese Zyste Spuckt Talg Und Eiter Aus Jahren Aus News De

Zahnfleischentzundung Beim Hund Hundeblog Informationen Emmi Pet

Im Alter Erkrankt Jeder Zweite Hund An Lipomen Dogs 2 Love

Grutzbeutel Beim Hund Gutartiges Tumorgebilde Stadthunde Com Hunde Community

14 10 13 Wir Dachten Am Donnerstag Den Zweiten Schub Innerhalb Kurzer Zeit 14 e Uberstanden Zu Haben Leider Nicht Jamie Lee Geht Es Schlecht Der Kreislauf Ist Unten Die Glieder Schmerzen Leonberger Und Schweine

Atherom Wikipedia

Dr Sandra Lee Entfernt Atherom Vom Kopf Eines Patienten Dr Pimple Popper Tlc Deutschland Youtube

Grutzbeutel Bei Heimtieren Erkennen Und Behandeln

Knubbel Beim Hund Hat Mein Hund Einen Tumor Oder Gibt Es Andere Ausloser
:fill(fff,true):upscale()/praxistipps.s3.amazonaws.com%2Fwarzen-sind-beim-jungen-hund-haeufiger-bild-pixabay-_99581837.jpg)
Warzen Beim Hund Erkennen Und Behandeln Focus De

Komische Schwellung Beim Hals Wuff Forum

Zecken Beim Hund

Fell Wachst Nicht Mehr Nach Gesunde Hunde Forum

Knubbel Warzen Zecken Knoten Oder Beulen Beim Hund

Rosa Knubbel Bei Hund Hundegesundheit
Love Of Golden Yana

Grutzbeutel Beim Hund Agila

Hundekrankheiten Die Symptome Ursachen Behandlungsmoglichkeiten

Violsche Druse Hund Behandlung Und Bedeutung

Atherom Abszess Gssforum De

Erkrankungen Der Haut Schweineban De Meerschweinchen Und Mehr

Komische Schwellung Beim Hals Wuff Forum

Hot Spots Bei Hund Und Katze

Fellpflege Beim Hund Ratgeber Von Fressnapf Fressnapf
Ubungsaufgabe Therapie Zyste Am Kopf

Knubbel Beim Hund Hat Mein Hund Einen Tumor Oder Gibt Es Andere Ausloser

Sebadenitis Entzundung Der Talgdrusen Der Hund

Haufige Operationen Beim Hund Kosten Und Versicherungsschutz Site Name Herz Fuer Tiere De

Grutzbeutel Beim Hund Sind Die Hautknubbel Gefahrlich

Grutzbeutel Atherom Beim Kaninchen Tiermedizinportal

Verstopfte Talgdruse Beim Hund Tierischehelden

Augenlidtumore Beim Hund Anicura Deutschland

Atherom Das Mussen Sie Wissen

So Geht Es Zu Zottel Roki S Blog

Atherome Beim Hund Deshalb Musst Du Einen Tierarzt Aufsuchen Dog Native

Unfalle Und Krankheiten Dein Tier

Hundekrankheiten Die Symptome Ursachen Behandlungsmoglichkeiten
Tierarztpraxis Dr Jonigkeit Nystagmus Facebook

Augenlidtumore Beim Hund Anicura Deutschland
Www Skk Se Globalassets Dokument Rasdokument Ras Norsk Alghund Gra Pdf

Talgdrusen Tumore Beim Hund Symptome Diagnose Und Behandlung

Apfelessig Hausmittel Mit Grosser Wirkung Auch Fur Den Hund Liebesgut Tiernahrung
Our Bobtails Dalin Unters Messer

Wer Hat Erfahrungen Mit Grosser Entzundeter Talgdruse Der Hund

Hund Hat Kleine Rote Beule Am Ohr

Raude Bei Hunden Ursache Und Behandlung Der Raude Stadthunde Com Hunde Community

Zyste Beim Hund Dobermann Youtube

Geschwulst Beim Hund Gutartige Und Bosartige Tumore Stadthunde Com Hunde Community
Www Thieme Connect De Products Ebooks Pdf 10 1055 B 0035 1280 Pdf

Tumor Beim Hund Krebs Erkennen Und Behandeln Stadthunde Com Hunde Community

Atherom Hunde

Atherom Hunde

Grutzbeutel Das Briard Forum

Blutegeltherapie Hundereparaturwerkstatt Kuchen

Neue Seite

Odin S Kastration Archiv Molosserforum Das Forum Fur Molosser

Krankheiten Meerschwein

Abszess Hunde

Odin S Kastration Archiv Molosserforum Das Forum Fur Molosser

Atherom Grutzbeutel Entfernen Atherom Am Kopf Trichilemmalzyste Und Epidermalzyste Onmeda De

Atherom Grutzbeutel Ursachen Symptome Behandlung

Katzen Mit Beulen Die Zysten Op Der Fantastische Bud

Wenn Der Hund In Die Jahre Kommt Ausgabe 2 16 Paracelsus Magazin

Analdrusen Beim Hund Was Tun Bei Analdrusenentzundung Tiergesund De

Wickel Und Umschlage Fur Den Hund Der Ratgeber Hunde

Atherome Beim Hund Tierratgeber Canosan Canosan

Hautveranderung Im Gesicht Tumor Der Hund

Wie Gefahrlich Sind Grutzbeutel Bei Hunden Vetplan Blog

Warze Beim Hund Am Bauch Warzen

Die Knubbel Fragen Hunde Com Alles Rund Um Den Hund

Wenn Das Alter Auf Den Hund Kommt Tierheilpraxis Ulf Henschel

Komische Knubbel Kampfschmuser De

Analdrusen Beim Hund Was Tun Bei Analdrusenentzundung Tiergesund De

Unsere Hintergrundarbeit Oft Unbemerkt Boxer Nothilfe Deutschland E V

Homoopathie Fur Den Hund Forum Naturheilkunde

Talgdrusen Tumore Beim Hund Symptome Diagnose Und Behandlung

Krankheiten Meerschwein

14 10 13 Wir Dachten Am Donnerstag Den Zweiten Schub Innerhalb Kurzer Zeit 14 e Uberstanden Zu Haben Leider Nicht Jamie Lee Geht Es Schlecht Der Kreislauf Ist Unten Die Glieder Schmerzen Leonberger Und Schweine

Hund Hat Kleine Rote Beule Am Ohr

Atherom Wikipedia

Erkrankungen Der Haut Schweineban De Meerschweinchen Und Mehr

14 Jahriger Hund Hat Knoten

Beulen Knoten Knubbel Bei Hunden Wann Ist Obacht Geboten

Atherom Focus Arztsuche
Q Tbn And9gcqedjpw0 Mqvkqno4mn7k5fp2bzqtr62dpm4z l 0q1nonea Usqp Cau

Talgdrusen

Leckschutz Fur Den Hund Meine Empfehlungen Alternativen

Wer Hat Erfahrungen Mit Grosser Entzundeter Talgdruse Der Hund

Grutzbeutel Beim Hund Sind Die Hautknubbel Gefahrlich Youtube

Atherom Grutzbeutel Entfernen Atherom Am Kopf Trichilemmalzyste Und Epidermalzyste Onmeda De

Atherom

Tierlexikon Zu Hunden Katzen Agila

Was Hat Mein Hund Da An Der Pfote Ist Das Eine Entzundung

Staffordshire Bullterrier Hat Zwischen Den Zehen Ne Beule Was Ist Das Hund Tierarzt Pfote